Plonger dans la passe Nord

09/02/2026

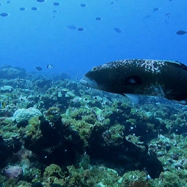
POLYNÉSIE FRANÇAISE - FAKARAVA

Si vous êtes plongeur, même avec un niveau 1, vous ne pouvez pas passer à coté des passe de FAKARAVA

QUEL CLUB CHOISIR ?

Le passe nord de Fakarava est un spot de plongée connu pour sa richesse de ce fait de nombreux club de plongée proposent des plongées d'exploration.

Pour mes plongées je suis parti avec le club O2 FAKARAVA

Rendez vous

Le club se charge de vous récupérer directement à la pension et vous redéposera après votre dernière plongée. Les plongées se font le matin , et l’après-midi. Les plongées se font également en fonction des marées pour des questions de sécurité et pour mieux apprécier les plongées. Le club est agréable avec de quoi se poser dans le sable , un joli ponton et une ambiance très calme 

Direction vers le site: 

Après avoir enfilé nos équipements nous prenons la navigation vers la passe qui se trouve à quelques minutes seulement. Nous traversons la passe pour nous mettre sur à l’abri sur le tombant extérieur afin de rejoindre la passe en bouteille à la nage. Lien Google Earth

Paramètres de plongées :

1-Temps 58 min Profondeur 29m T°28° en septembre 2017 Site Ali baba

2-Temps 46 min Profondeur 20m T°28° en septembre 2025 Corridor

3-Temps 60 min Profondeur 20m T°26° en septembre 2025 Recif OHOTU

Snack O2 coco

le snack O2 coco qui se trouve collé au club de plongée vous proposera de quoi vous restaurer avant ou apres vos plongées

https://www.facebook.com/people/O2-Coco/100093664373343/

https://www.o2fakarava.com

O2 Fakarava,

98763 Rotoava

(+689) 87 755 744
contact@o2fakarava.com